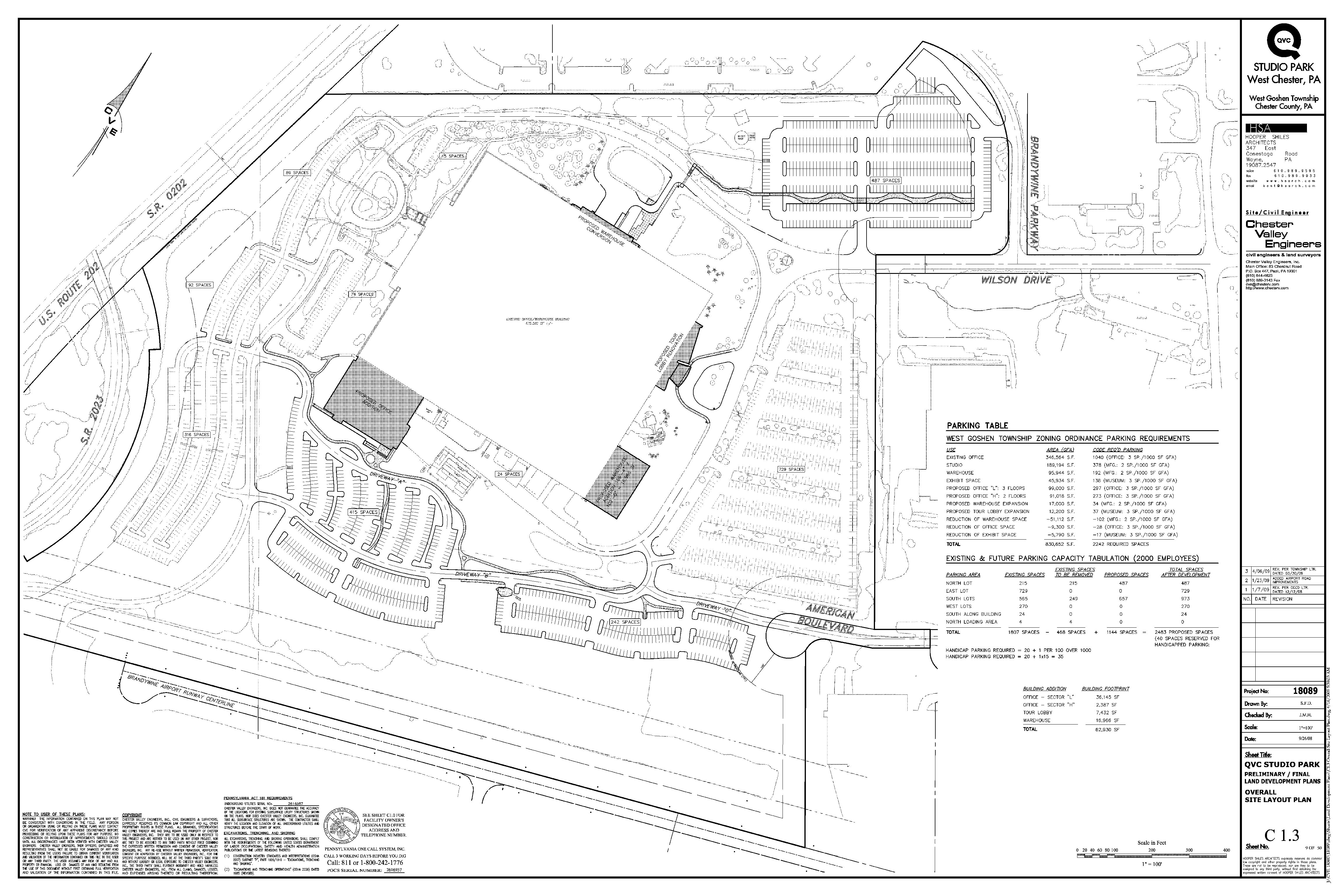
QVC

West Chester, PA

Consulting, design and permitting services for QVC’s Studio Park’s 85 acre expansion and campus enhancement projects including studio/building expansions, gateway main site entrance and secure campus loop road located in West Goshen Township, Chester County.